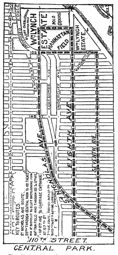
Map of Carriage Routes to Manhattan Field
& the Polo Grounds (#3)
(Note Cable Car line on Tenth Avenue.)
Map of Manhattan, north from 110th Street, showing Carriage Routes to Manhattan Field. Also the Cable Car line on 10th Avenue. From New-York Daily Tribune, Sunday, November 22, 1891.
New-York Daily Tribune, November 22, 1891

Return to Manhattan Field Football Page.

Go to the Amazing Sports Lists!
This list is compiled and designed by Paul S. Luchter

©All rights reserved.